-
The figure below shows a circle inscribed in a semi-circle. Part of the figure is shaded and point 0 is the centre of the circle.
(Solved)
The figure below shows a circle inscribed in a semi-circle. Part of the figure is shaded and point 0 is the centre of the circle.
If the diameter of the semi-circle is 4m, what is the area of the shaded part? (Take π = 3.14)
A. 9.42 m2
B. 6.28 m2
C. 4.71 m2
D. 1.57 m2
Date posted:
July 29, 2019
.
Answers (1)
-
Abdi bought the following items:
(Solved)
Abdi bought the following items:
5 loaves of bread @ sh 42
What was his balance if he paid using 3 five hundred shillings notes?
A. sh 1309
B. sh 536
C. sh 191
D. sh 31
Date posted:
July 29, 2019
.
Answers (1)
-
Kinje invested money with a financial institution that paid Simple Interest at the rate of 5% p.a. After 60 months the money earned an interest...
(Solved)
Kinje invested money with a financial institution that paid Simple Interest at the rate of 5% p.a. After 60 months the money earned an interest of sh 5000. How much had he invested?
A. sh 20 000
B. sh 1666.70
C. sh 1 250
D. sh 200
Date posted:
July 29, 2019
.
Answers (1)
-
A cylindrical water tank has a diameter of 4m and a height of 4.2m.
(Solved)
A cylindrical water tank has a diameter of 4m and a height of 4.2m. One hundred and twenty litres of water is used daily for domestic purposes and a similar amount for the animals. How many days will the water in the tank last if full to capacity?
A. 880
B. 440
C. 220
D. 22
Date posted:
July 29, 2019
.
Answers (1)
-
Bestee spent his salary as shown in the figure below
(Solved)
Bestee spent his salary as shown in the figure below
How much more money does he spend on food than clothes?
A. 17 500
B. 14 000
C. 10 500
D. 3 500
Date posted:
July 29, 2019
.
Answers (1)
-
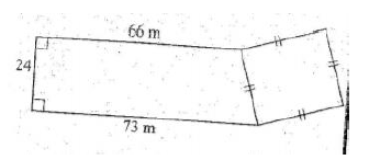
The figure below represents a farm
(Solved)
The figure below represents a farm
What is the area of the farm in square metres?
A. 2209
B. 2244
C. 2293
D. 2377
Date posted:
July 29, 2019
.
Answers (1)
-
What is the place value of digit 7 in 16.05 ÷ 15?
(Solved)
What is the place value of digit 7 in 16.05 ÷ 15?
A. Ones
B. Tens
C. Tenths
D. Hundredths
Date posted:
July 29, 2019
.
Answers (1)
-
The pupil population of a certain school was 900. The ratio of boys to girls was 5:4. One day 5% of the girls and 2%...
(Solved)
The pupil population of a certain school was 900. The ratio of boys to girls was 5:4. One day 5% of the girls and 2% of the boys went for a competition. How many pupils remained in the school on that day?
A. 603
B. 837
C. 867
D. 870
Date posted:
July 29, 2019
.
Answers (1)
-
Which one of the following numbers is two million thirty five thousand and eight hundredths?
(Solved)
Which one of the following numbers is two million thirty five thousand and eight hundredths?
A. 2035800
B. 2035000.08
C. 235000.08
D. 235000.008
Date posted:
July 29, 2019
.
Answers (1)
-
The number of registered voters in a country was 35940. Three candidates: Hekima, Bidii and Tajiri vied for a seat.
(Solved)
The number of registered voters in a country was 35940. Three candidates: Hekima, Bidii and Tajiri vied for a seat. Hekima obtained 16048 votes, Bidii gathered 14353 votes, while Tajiri got 3439 votes. The number of spoilt votes was twice as many as that of non-voters. If all the spoilt votes were added to those obtained by Tajiri, how many votes would he have gotten?
A. 1400
B. 2100
C. 4139
D. 4839
Date posted:
July 29, 2019
.
Answers (1)
-
Simplify the question below
(Solved)
What is
in its simplest form?

Date posted:
July 29, 2019
.
Answers (1)
-
Mogaka pays sh 300 for his transport, sh400 for his 2 sons and sh 100 for his sister daily. If the fare went up by...
(Solved)
Mogaka pays sh 300 for his transport, sh400 for his 2 sons and sh 100 for his sister daily. If the fare went up by 15%, how much will he spend in six days?
A. sh 5520
B. sh 4800
C. sh 4080
D. sh 920
Date posted:
July 29, 2019
.
Answers (1)
-
Wakesho collects 150 eggs daily from her poultry. She sells the eggs at sh 9 each. How much money did she make in the month...
(Solved)
Wakesho collects 150 eggs daily from her poultry. She sells the eggs at sh 9 each. How much money did she make in the month of February, 2008?
A. sh 40 500
B. sh 39 150
C. sh 37 800
D. sh 1 350
Date posted:
July 29, 2019
.
Answers (1)
-
How much money was received as discount by Abach and Asha all together?
(Solved)
The marked price of a wheelbarrow is sh 8600. Abach was given
discount while Asha was given 7% discount for a similar wheelbarrow. How much money was received as discount by Abach and Asha all together?
A. sh 129
B. sh 602
C. sh 1 333
D. sh 2 064
Date posted:
July 29, 2019
.
Answers (1)
-
The perimeter of the figure below is 1120 metres.
(Solved)
The perimeter of the figure below is 1120 metres.
What is the area of the figure in acres?
A. 7.59
B. 75.9
C. 759
D. 75900
Date posted:
July 29, 2019
.
Answers (1)
-
The pie chart below shows how Demu spends his monthly salary on food, clothing, fees, transport and savings.
(Solved)
The pie chart below shows how Demu spends his monthly salary on food, clothing, fees, transport and savings.
If he spends sh 6000 on clothing, how much more money does he spend on food than fees?
A. sh 1500
B. sh 11500
C. sh 13000
D. sh 36000
Date posted:
July 29, 2019
.
Answers (1)
-
What is the sum of the vertices and faces in a triangular pyramid?
(Solved)
What is the sum of the vertices and faces in a triangular pyramid?
A. 11
B. 10
C. 8
D. 7
Date posted:
July 29, 2019
.
Answers (1)
-
A train timetable for station J to 0 is given below
(Solved)
A train timetable for station J to 0 is given below
How long does the train take from station L to N?
A. 6h 40min
B. 6h 10min
C. 5h 50min
D. 5h 20min
Date posted:
July 29, 2019
.
Answers (1)
-
Eighteen pupils were given a playground to clear in 1 h 40 min. If six of the pupils did not turn up, how much longer...
(Solved)
Eighteen pupils were given a playground to clear in 1 h 40 min. If six of the pupils did not turn up, how much longer did it take the rest of the pupils to clear the playground?

Date posted:
July 29, 2019
.
Answers (1)
-
A conference room measures 24m by 12m. Square carpets of 4 metres long, each costing sh 12000 were used to completely cover the floor. How...
(Solved)
A conference room measures 24m by 12m. Square carpets of 4 metres long, each costing sh 12000 were used to completely cover the floor. How much did it cost to cover the floor?
A. sh 48 000
B. sh 72 000
C. sh 216 000
D. sh 864 000
Date posted:
July 29, 2019
.
Answers (1)